26 kwietnia 2023
IGHP: marzec przyniósł poprawę wyników w hotelach
Według ankiety IGHP wyniki hoteli w Polsce poprawiają się z miesiąca na miesiąc. Wydłużony weekend…
26 kwietnia 2023
Ryanair uruchamia nową trasę z lotniska Chopina na Majorkę
Ryanair wprowadza nową trasę na Palma de Majorka z lotniska Warszawa Chopin. Loty będą odbywać się…
26 kwietnia 2023
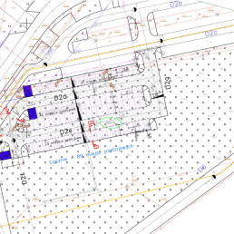
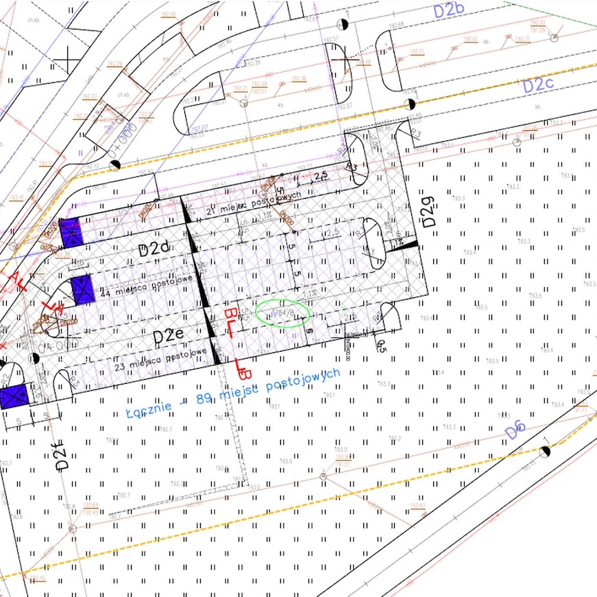
Lubelskie lotnisko powiększa parking. Do końca maja powstanie 89 nowych miejsc postojowych
Port Lotniczy Lublin rozbuduje parking od strony odlotów o 89 nowych miejsc postojowych. Prace…
26 kwietnia 2023
Nocowanie.pl: w majówkę więcej krótszych rezerwacji niż rok temu
Polacy chętnie spędzą długi majowy weekend poza domem, a liczba rezerwacji w serwisach Noclegi.pl i…
26 kwietnia 2023
Travelist.pl: ponad 43 tys. transakcji z wykorzystaniem bonów turystycznych
Eksperci z Travelist.pl przeanalizowali statystyki wykorzystania Bonów Turystycznych, które były…
26 kwietnia 2023
Klienci Itaki zarezerwują konkretne miejsca w samolocie. Na początek popularne kierunki wakacyjne
Itaka wprowadza nową usługę, która pozwoli klientom na wygodniejszy i bardziej komfortowy przelot.…
26 kwietnia 2023
200 firm i 230 biur podróży na 49. Germany Travel MartTM w Essen
W trakcie 49. edycji Germany Travel MartTM (GTM) w Essen wzięło udział około 200 niemieckich firm…
26 kwietnia 2023Press ReleasePetra Hedorfer,Niemiecka Centrala Turystyki
26 kwietnia 2023
Exim Tours szkoli rezydentów przed sezonem wakacyjnym
W ubiegłym tygodniu Exim Tours zorganizował szkolenia przedsezonowe dla swoich rezydentów.…









